
Maricela Allende
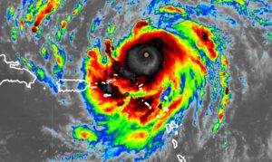
El huracán Erin se fortaleció a categoría 5 en la escala Saffir-Simpson, convirtiéndose en uno de los fenómenos más poderosos de la temporada. De acuerdo con la Comisión Nacional del Agua (Conagua) y el Servicio Meteorológico Nacional (SMN), su centro se ubica a 170 km al norte de Anguilla, en las Antillas Menores, y a 2,505 km al este de Cancún, Quintana Roo.
El ciclón presenta vientos sostenidos de 255 km/h, con rachas que alcanzan los 275 km/h hacia el oeste a 28 km/h.
Las autoridades informaron que, por su lejanía y trayectoria actual, Erin no representa peligro para territorio mexicano, aunque mantienen vigilancia estrecha en el Atlántico.
You may also like
-
Balean a joven tras intento de asalto en la laguna de Chignahuapan
-
Motociclistas asesinaron a dos hombres en negocio de micheladas de Yehualtepec
-
Ejecutaron a pareja dentro de su casa en Coronango
-
Concluye Campeonato Nacional Universitario de Taekwondo en la BUAP
-
Carlos Novelo conquista Tulum y firma su segunda victoria consecutiva en Trucks México Series